With sustained winds of over 160mph, monster storm makes landfall as it carves path toward Virgin Islands, Puerto Rico, and other islands still recovering from Irma

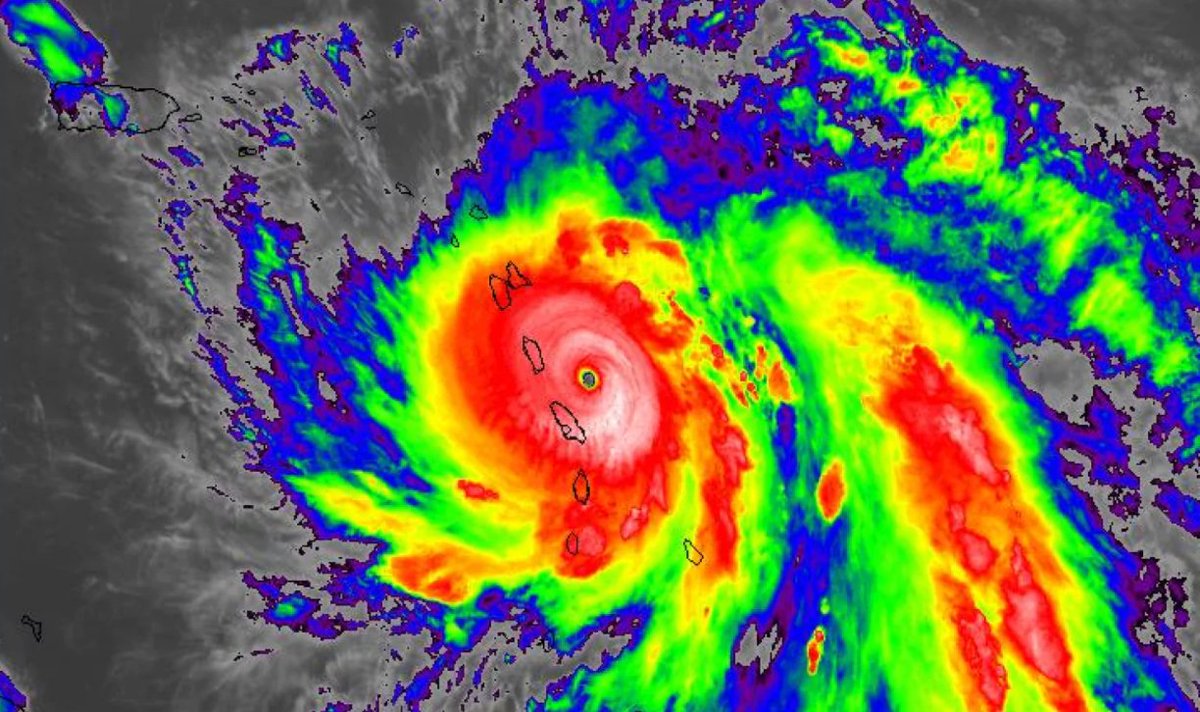
Hurricane Maria became a Category 5 storm on Monday night just before it hit the island of Dominica. (Photo: NASA/Screenshot)
Hurricane Maria was ugraded to a powerful Category 5 and "potentially catastrophic" storm Monday evening, with sustained winds over 160 mph, just before it slammed into the independent Caribbean island of Dominica as it carved a terrifying path similar (though not exact) to Hurricane Irma less than ten days ago.
"Hurricane conditions should be spreading across Dominica, Guadeloupe, and Martinique during the next few hours," the National Hurricane Center stated in a Monday evening update, "with tropical storm conditions already occurring over portions of the Leeward Islands. Hurricane conditions should spread through the remainder of the hurricane warning area tonight through Wednesday."
On social media, dramatic posts from Dominica's Prime Minister Roosevelt Skerrit, who said his roof was gone and that his home was flooding, spoke to the intensity of the storm and the frightening scenes as the winds and water pounded the island:
#HurricaneMaria #Dominica Roosevelt Skerrit Prime Minister of Dominica, check out his profile on Facebook
Commenting on how quickly the storm built strength from earlier in the day, meteorologist and journalist Eric Holthaus called it "one of the fastest intensifying hurricanes in history" and said, "Wow. Heaven help those in Dominica tonight."
Ugh. Now practically on top of Dominica — devastating hit on the island likely. Rapid intensification at worst time. twitter.com/gdimeweather/s…
According to the National Hurricane Center's Monday evening update, the following islands—many if not all which received blows from Irma—could be next and are now under active hurricane warning:
With much of the Caribbean still recovering from Irma and the devastation that Harvey left in Houston, Texas still freshly felt by its victims there, the most punishing hurricane season in recent memory has continued to generate warnings from the climate experts and the environmental community that has been steadfast in its concerns that a hotter planet would produce increasingly more and intense storms:
"We're seeing climate change play out before our eyes. It's insensitive to ignore the signs & fail to take action." ecowatch.com/climate-change…
The wicked 2017 hurricane season is set to deliver its next two punishing blows from Hurricanes Maria and Jose: wapo.st/2f5P6GS
This work is licensed under a Creative Commons Attribution-Share Alike 3.0 License





No comments:
Post a Comment
Note: only a member of this blog may post a comment.